Zum Inhalt springen
  • Aufgelockerte Bewölkung: 25-50% 14 °C
  • Kontrast
  • Leichte Sprache

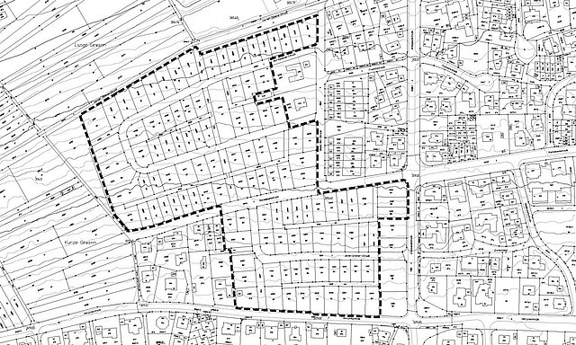
Bebauungsplan "Lange Gewann - 1. Änderung"

Rechtskräftige Satzung

Satzungsnummer 731 

rechtskräftig seit 07.11.2014

Worum es geht:

Das Ziel des Bebauungsplans ist die Anpassung des Bauplanungsrechts an geänderte städtebauliche Anforderungen.

Zeichnerischer Teil: